Makléř: Vlčková Kamila
Telefon: 800 100 ...
E-mail: info@mm ...
Zobrazit celý kontaktTelefon: 800 100 446
E-mail: info@mmreality.cz
Nemovitost nabízí
M&M reality holding a.s.
Krakovská 1675/2, 110 00 Praha 1
Zobrazit kontakt na RK800 100 446
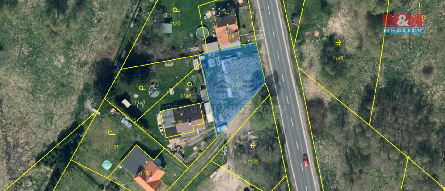
Nabízíme k prodeji atraktivně situovaný pozemek k bydlení o ploše 581 m2 v katastrálním území Studánka u Rumburku. Pozemek se nachází v žádané a klidné části obce, což představuje ideální prostředí pro Vaše budoucí bydlení. Lokalita nabízí krásný výhled a blízkost přírody, zároveň s dobrou dostupností do Rumburku pro veškerou občanskou vybavenost. Stav pozemku je hodnocen jako dobrý, což umožňuje bezproblémový start Vašeho stavebního projektu. Tato nabídka představuje unikátní příležitost pro ty, kteří hledají klid pro bydlení s možností výletů do přírody, zároveň s rychlým přístupem k městské infrastruktuře. Neváhejte nás kontaktovat pro více informací nebo prohlídku pozemku a udělejte první krok k realizaci Vašeho snu o vlastním domově.
Prodej pozemku k výstavbě RD ve Varnsdorfu, Dvořákova ulice, plocha 761 m2
V zastoupení majitele nemovitosti Vám nabízíme k prodeji stavební pozemek o celkové výměře 761 m2. Pozemek se nachází ve velmi klidné a vyhledávané…
Stavební pozemek Varnsdorf
Prodám stavební pozemek ve Varnsdorfu s rozlohou 1120 m2, možnost výstavby až tří patrového bytového domu. Cena 1000 Kč/m2. <a href="https://www…